Вариациите на морското ниво са резултат от промените във водния баланс на хидросферата и атмосферата и се определят пряко от глобалните температури
Емил Гачев е доцент в катедра “География, екология и опазване на околната среда” към Природо-математическия факултет на Югозападния университет „Неофит Рилски“, като работи и в департамент „География“ към НИГГГ-БАН. Докторска степен (специалност Ландшафтознание) получава през 2005 г. от ГГФ на СУ „Св. Климент Охридски“. Оттогава се занимава с научно-изследователска работа в сферите на геоморфологията (ледников и криогенен релеф), хидрологията (изследвания на планински езера), глациологията (съвременни ледникови микроформи) и климатичните промени в планините на България и Балканския полуостров. Преподавател по хидрология, геология (ЮЗУ) и ландшафтна екология (УАСГ).
Морското ниво е основна граница между атмосферата и хидросферата, а неговото положение е от особено голямо значение за процесите при бреговата ивица, и в по-широк контекст, за прилежащите крайбрежни територии. Равнището на Световния океан е динамично – то се е променяло в миналото, променя се и днес. Промените в морското ниво са директно свързани с климата. Покачването на нивото, което е свързано с нарастването на температурите, е и резултат от топенето на ледниците и топлинното разширение на водната маса, може да бъде свързано с материални и екологични загуби, понеже носи рискове от разрушаване и заливане на плодородни и гъстонаселени крайбрежни територии.
Всички водни басейни, които са част от Световния океан, са свързани помежду си и имат общо водно ниво, зададено от силата на земното притегляне. Морското равнище е с фундаментално значение не само за чисто научните изследвания, но и за твърде много аспекти от живота на хората. По него се определят абсолютните височини на сушата, както и дълбочините в океана. Морското ниво определя площта на сушевата и океанската повърхност на планетата, и е ясна отличителна граница между две контрастни природни среди с присъщите им различни по устройство и качества организми.
Малко от нас обаче си дават сметка за голямото значение на това ниво за природните процеси на сушата, и че неговата промяна влияе пряко на живота на хората и на стопанството. Морското ниво е основен ерозионен базис за течащите води, тоест, то е регулатор на силата на ерозия на реките и потоците. Понижаването му води до засилване на речната ерозия, докато неговото покачване отслабва ерозионната активност. Равнището на морската вода е определящо и за процесите на абразия – разрушителното въздействие на морския прибой върху бреговете.
Като основна гранична повърхнина между атмосферата и хидросферата, повърхността на водните басейни е подложена на постоянно въздействие от климатичните процеси. Влиянията могат да бъдат краткосрочни (временни, циклични) или дългосрочни (постъпателни).
Най-кратковременни вариации на морското ниво са класическите ветрови вълни, които са и основен разрушител на бреговете. В хода на денонощието се проявяват приливно-отливните колебания – резултат от гравитационното взаимодействие между Земята и Луната. При бури, съпроводени със силни ветрове, се проявяват нагонните вълни – бурята „издухва“ голям обем морска вода към сушата, при което нивото се повишава с няколко десетки сантиметра до няколко метра и това може да трае известен брой дни (Фиг. 1). Инцидентно, но понякога катастрофално влияние, оказват вълните цунами, които възникват при подводни земетресения и размествания на морското дъно. Всички тези явления влияят съществено върху брега и крайбрежната област, а някои от тях (нагоните и сеизмичните вълни) могат да нанесат сериозни материални щети, както и да бъдат животозастрашаващи.

Дългосрочните изменения на морското ниво могат да бъдат с регионален или с глобален характер. Регионалните промени са резултат от тектонски движения (потъване или издигане на брега) или изостатични колебания (например издигане на бреговете на Скандинавия след освобождаване от тежестта на континенталния ледник, съществувал там в миналото). Вариациите на морското ниво в планетарен мащаб са резултат от промените във водния баланс на хидросферата и атмосферата и се определят пряко от глобалните температури. В разгара на последния ледников период, когато средните многогодишни температури са били доста по-ниски от съвременните (с около 4°С в екваториалната област, до 6-7°С в умерените и до 10-12°С в големите ширини), с лед са били покрити 30% от сушата, а нивото на Световния океан е било със 110 до 130 м по-ниско от съвременното (Фиг. 2). По това време по-голямата част от днешното плитко морско дъно, което наричаме „шелф“, е била суша. Там е протичала активна акумулация на наноси, донесени от реките, които усилено са ерозирали континентите.
Последвалото затопляне довело до превръщането на огромни маси лед в течна вода, която постъпвала в океана и постепенно увеличавала обема и нивото му.

Повишаването на морското равнище продължило с прекъсвания до холоценския температурен оптимум отпреди около 5000 години, когато то е било с около 1,5 – 2 м над съвременното. След това, във връзка с падането на температурите, се понижило до нива близки до сегашните, с флуктуации от 10 – 20 см между по-топлите и по-хладните епизоди.
Във връзка със съвременното затопляне, за периода от 1900 г. досега нивото на Световния океан се е покачило с около 20 см

Един от най-съществените ефекти от издигането на нивото е свързан с разрушителното действие, което морските вълни оказват върху брега.
Нека най-напред обясним какъв е механизмът на това действие.
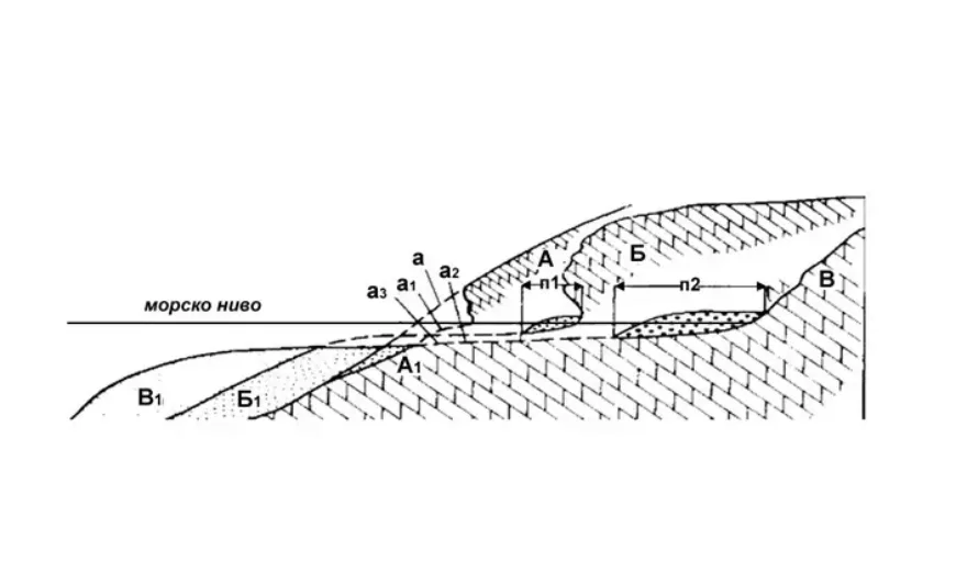
Прибоят оказва максимален разрушителен ефект върху брега непосредствено около водната повърхност, при което с течение на времето морето започва да подкопава скалите и образува вдлъбнатина в основата на брега – прибойна ниша. С увеличаване на дълбочината на нишата, лежащите отгоре скали стават нестабилни и в даден момент се срутват в морето. Възниква вертикален скален откос – клиф, а процесът на подкопаване започва нов цикъл. В резултат на това под водата, но в близост до морското ниво, се образува заравнена скална площадка – бенч, която свидетелства докъде е стигала сушата в миналото. Като нейно продължение, навътре в морето започва отлагане на част от материала, разрушен от брега. При отсъствие на други фактори, с течение на времето разрушителният потенциал на абразията постепенно намалява, тъй като подводната тераса става все по-обширна и все повече „убива“ силата на вълнението. Накрая дъното достига равновесен профил, при който морето вече не може да въздейства разрушително на брега (линията В-В1 на Фиг. 4).

Установено е, че при постоянно морско ниво разрушителното действие на абразията позволява на морето да напредне максимум до няколко километра навътре в сушата. Ако обаче нивото се покачва, абразионните процеси постоянно се зареждат с нова сила и имат потенциал да нанесат значително по-големи разрушения. Нестихващата и висока активност на абразията води и до активизиране на крайбрежните свлачища.
Друг пряк негативен ефект от повишаването на морското ниво е по-големият риск от наводняване на ниските участъци от крайбрежията в условията на силно ветрово вълнение и морски нагон, поради по-лесното навлизане на вълните в сушата (Фиг. 1, 5).

В перспективата на увеличаваща се честота и сила на екстремните метеорологични явления
се очаква проявата на такива наводнения, както и щетите, нанесени от тях, да се увеличат съществено.
На редица места по света се наблюдава увеличаване на честотата и силата на тропичните циклони, които са основни причинители на морски наводнения в малките географски ширини.
Теоретично, цялостното стопяване на Гренландския ледник би повишило нивото със 6,7 м, на Западноантарктическия ледник – със 7 м, а на Източноантарктическия – с около 58 м. Тоест, максимално възможното повишаане на нивото на океана е с около 71 м. Учените смятат, че пълното стопяване на ледниците при всички положения би отнело хилядолетия, така че подобни сценарии не се обсъждат, когато става въпрос за обозримото бъдеще. Предвижданията в доклада на IPCC (2014), в хода на прогнозираните сценарии на увеличаване на температурите, до края на века повишението на нивото би трябвало да бъде между 1,2 и 2,4 м. Перспективата за значително покачване на нивото на океана в следващите десетилетия е свързана със заплаха от заливане на плодородни крайбрежни земи, а за да се предотврати това се налагат скъпоструващи брегоукрепителни мероприятия – изграждане на диги и шлюзове.
Към 2010 г. ежегодните загуби на Европа от крайбрежните наводнения са оценени на 1,25 милиарда евро, от които около половината се падат на Великобритания, Франция и Италия. До 2050 г., разходите се очаква да се покачат до 12,5 – 39 милиарда евро, което е увеличение от 10 до 30 пъти. През втората половина на века прогнозните разходи се очаква да нарастват до 93 – 961 млрд. евро, тоест нарастване от 75 до 770 пъти спрямо съвременните нива (по данни на Vousdoukas et al., 2018). Максималните и минимални прогнозни суми са пряко свързани със степента на повишаване на нивото.
Покачването на нивото отдавна е сериозен проблем за Венеция, „бижуто на Адриатика“, тъй като градът и без това бавно потъва поради уплътняването на лагунните наноси, върху които е построен. Особено чести са наводненията през зимата, които са свързани с проявата на духащите от Африка силни южни ветрове сироко. В последните години са наблюдавани няколко наводнение с височина на водите над 1,2-1,5 м.

Санкт Петербург – „морската столица на Русия“ също многократно е страдал от наводнения, причинени от нагонните вълни в тесния и дълъг Фински залив. При най-голямото от тях (1824 г.) нивото на морето се покачва с над 4 м, а в последните 3 века повдигане на нивото с над 2 м се наблюдава средно веднъж на всеки 6 години. След 32-годишно строителство, през 2011 г. беше завършена обширна система от диги, която предпазва града като същевременно пропуска плавателните съдове. Разходите за изграждането на това съоръжение се оценяват на 8,5 млрд. рубли (над 101 млн евро).
Най-застрашени от покачването на нивото на океана са кораловите острови в Тихия и Индийския океан, които са много ниски – при повишаване с 2 м държави като Малдивите, Соломоновите острови и други, ще бъдат напълно залети от морето.
Сред най-уязвимите континентални страни са Нидерландия, Белгия, Дания и американският щат Флорида.
Особено голяма е заплахата за Бангладеш, където 15% от територията е под 1,5 м надморска височина, а населението понастоящем е около 150 млн. души, както и за Китай, чиито най-гъсто населени райони се намират в източните крайморски низини. Това означава, че едно значително покачване на морското ниво крие потенциал за безпрецедентна по размерите си хуманитарна криза.
В светлината на очакваните промени вече се лансират някои идеи за мегаинфраструктури, които да предложат частично решение на проблема. Така например, преграждането със стена на протока Гибралтар би позволило да се запази устойчиво нивото на Средиземно море, като така се опазят огромното историческо наследство и туристически ресурси по неговите брегове. Също така, учени от Нидерландия и Германия предлагат да се построят две масивни диги (между Англия и Франция и съответно между Шотландия и Норвегия), с което да се изолират от океана Северно море и свързаното с него Балтийско море, и така да се защитят страните в Северна и Западна Европа от повишаването на морското равнище. Такива мегапроекти предвиждат влагането на огромни средства, за да се избере „по-малкото зло“ – тоест, да се избегнат още по-големите загуби, свързани със заливането на плодородните и гъсто населени крайбрежия.
В тази връзка, ако искат да намалят загубите на плодородни земи и колосалните разходи по изграждане на скъпоструваща брегозащитна инфраструктура, икономиките трябва, доколкото е възможно, да ограничат въздействието си върху климата. Обикновеният човек обаче може да направи малко по този въпрос. За сметка на това, най-големи усилия за ограничаване на парниковите емисии трябва да положат големите световни промишлени замърсители.



